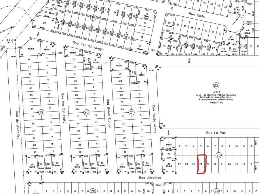
| Tipo | Terreno |
| Cidade/UF | Campo Grande - MS |
| Bairro | North Park |
| Endereço | R. Abrolhos |
| Área total | 250,00 m² |
| Maior valor: | R$ 535,58/m² | |
| Valor médio: | R$ 374,23/m² | |
| Menor valor: | R$ 272,00/m² |
Terreno de 10 x 25 m, totalizando 250 m², plano, de frente para a cidade.
Ótima região.
ID do InfoImóveis: 518970
Solicite mais informações ou faça uma proposta para este anunciante através do formulário.
